广西柳州柳江区人民政府门户网站! 今日是:
模式切换

乐都北苑小区2#、3#楼及地下室项目竣工规划核实公示

来源: 柳州市柳江区住房和城乡建设局  |   发布日期: 2024-05-24 15:38   

柳州恒和房地产开发有限公司向我局申请位于柳州市柳江区建都综合区乐都大道2号之二的乐都北苑小区2#、3#楼及地下室项目进行竣工规划核实,现将该项目有关情况公示如下:

一、项目原审批情况

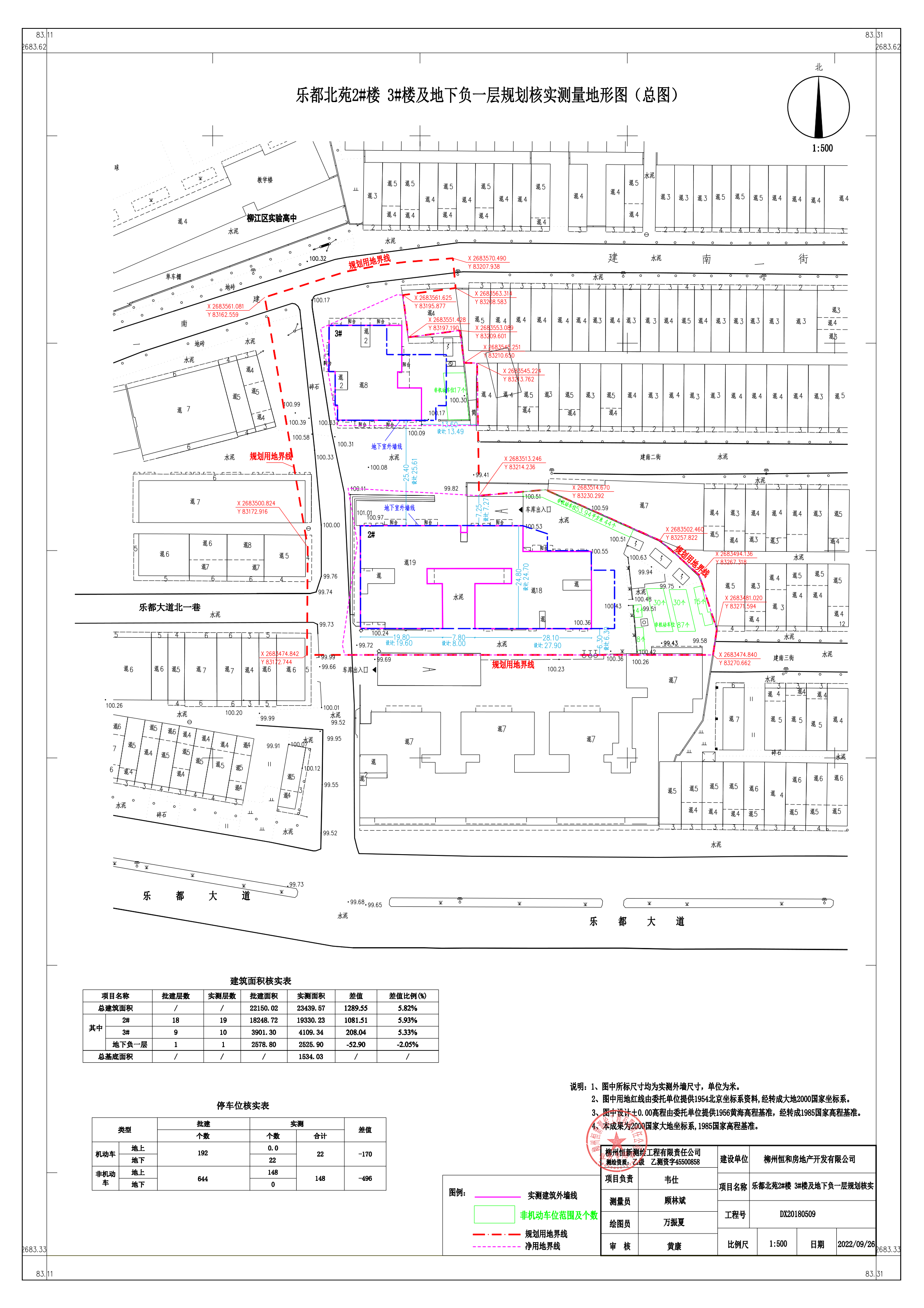
根据2011年8月21日我局批准的《兴和家苑项目2#、3#楼总平面图》,项目建设用地面积5773.76㎡,总建筑面积34000㎡,建筑密度30.2%,容积率5.6。机动车位192个,非机动车位644个。

二、拟验收情况

项目已建设完成,现拟按核发的建设工程规划许可证面积进行竣工规划验收主要内容为:乐都北苑小区2#楼建筑面积为18248.72㎡,层数为地上18层;3#楼建筑面积为3901.3㎡,层数为地上9层;乐都北苑小区2#、3#楼地下室建筑面积为1908.62㎡,层数为地下一层。项目建设用地面积3931.86㎡,总建筑面积24058.64㎡。地下室标准车位16个,地下室微型车位2个,地下室子母车位4,地上非机动车位148个。

三、其他情况

柳州市柳江区城市管理行政执法局已对2#、3#楼项目作出行政处罚决定(柳柳江城管罚决字[2023]74002号),并复函我局。根据《中华人民共和国城乡规划法》、《广西壮族自治区实施〈中华人民共和国城乡规划法〉办法》及柳州市柳江区政府相关会议要求,本局拟核准乐都北苑小区2#、3#楼及地下室项目建设工程竣工规划核实相关手续。现进行审批前公示,征求利害关系人意见,公示时间为7个工作日。

公示期限内,利害关系人若有意见,请以书面形式(署真实姓名和联系电话)方式向柳州市柳江区住房和城乡建设局规划股反映。逾期未提出的,视为放弃权利。如无异议,我局将依法进行项目的相关审批手续。

公示日期:2024年5月24日-2024年6月3日(7个工作日)

公示方式及地点:柳江区建都综合区乐都大道2号之二公示栏(小区内)和柳州市柳江区住房和城乡建设局公众号

联系电话:0772-7216938 联系人:赵女士

联系地址:柳州市柳江区柳堡路46号


                                      柳州市柳江区住房和城乡建设局

                  2024年5月24日


×
×
项目竣工
乐都北苑小区2#、3#楼及地下室项目竣工规划核实公示

来源: 柳州市柳江区住房和城乡建设局  |   发布日期: 2024-05-24 15:38   

柳州恒和房地产开发有限公司向我局申请位于柳州市柳江区建都综合区乐都大道2号之二的乐都北苑小区2#、3#楼及地下室项目进行竣工规划核实,现将该项目有关情况公示如下:

一、项目原审批情况

根据2011年8月21日我局批准的《兴和家苑项目2#、3#楼总平面图》,项目建设用地面积5773.76㎡,总建筑面积34000㎡,建筑密度30.2%,容积率5.6。机动车位192个,非机动车位644个。

二、拟验收情况

项目已建设完成,现拟按核发的建设工程规划许可证面积进行竣工规划验收主要内容为:乐都北苑小区2#楼建筑面积为18248.72㎡,层数为地上18层;3#楼建筑面积为3901.3㎡,层数为地上9层;乐都北苑小区2#、3#楼地下室建筑面积为1908.62㎡,层数为地下一层。项目建设用地面积3931.86㎡,总建筑面积24058.64㎡。地下室标准车位16个,地下室微型车位2个,地下室子母车位4,地上非机动车位148个。

三、其他情况

柳州市柳江区城市管理行政执法局已对2#、3#楼项目作出行政处罚决定(柳柳江城管罚决字[2023]74002号),并复函我局。根据《中华人民共和国城乡规划法》、《广西壮族自治区实施〈中华人民共和国城乡规划法〉办法》及柳州市柳江区政府相关会议要求,本局拟核准乐都北苑小区2#、3#楼及地下室项目建设工程竣工规划核实相关手续。现进行审批前公示,征求利害关系人意见,公示时间为7个工作日。

公示期限内,利害关系人若有意见,请以书面形式(署真实姓名和联系电话)方式向柳州市柳江区住房和城乡建设局规划股反映。逾期未提出的,视为放弃权利。如无异议,我局将依法进行项目的相关审批手续。

公示日期:2024年5月24日-2024年6月3日(7个工作日)

公示方式及地点:柳江区建都综合区乐都大道2号之二公示栏(小区内)和柳州市柳江区住房和城乡建设局公众号

联系电话:0772-7216938 联系人:赵女士

联系地址:柳州市柳江区柳堡路46号


                                      柳州市柳江区住房和城乡建设局

                  2024年5月24日